OTTIMO INVESTIMENTO VENDITA

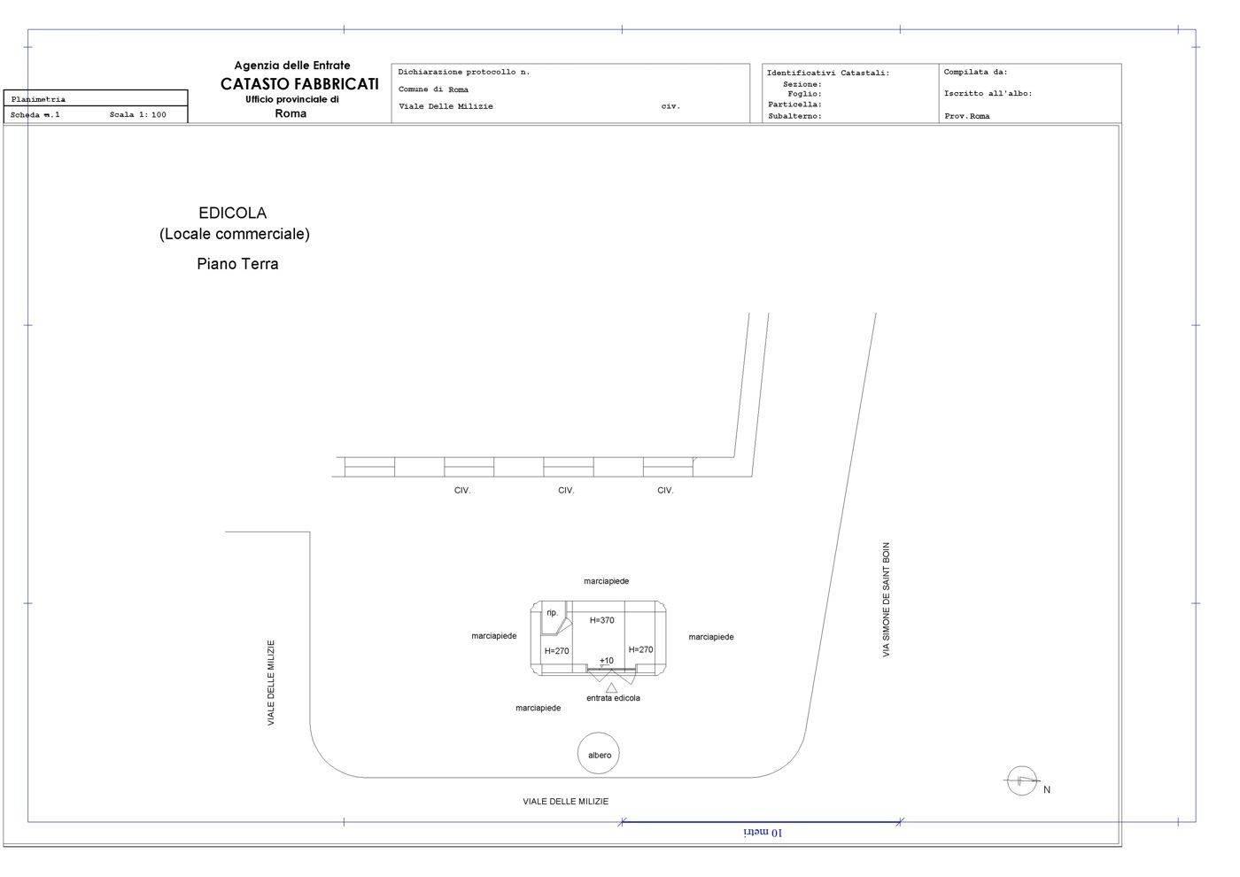
Viale delle Milizie - Roma (Roma)
€ 15.000
  • 1 locale
  • 15 mq
  • 1 bagno

Negozio in Vendita a Roma

Gabetti Mazzini zona Prati adiacente Via Otranto e più precisamente in Viale delle Milizie angolo Via Simone De Saint Bon in posizione centralissima, nelle immediate vicinanze della metropolitana Linea A fermata Ottaviano, dei Musei Vaticani e quindi in una zona altamente frequentata non solo dai residenti ma anche da turisti, proponiamo la vendita di un chiosco, accatastato C/1, fornito di licenza di rivendita di quotidiani e periodici, attualmente comprende, inoltre, distributori automatici H24 con rivendita di altre tipologie merceologiche come, bibite, snack, patatine e panini confezionati, nonché la possibilità di utilizzarla come reception per le attività ricettive. Attualmente c'è anche la possibilità di prenotare direttamente dei tour esclusivi verso le Isole della nostra terra partenopea. Il chiosco è composto da uno spazio di 13mq circa, compreso un piccolo bagno chimico, inoltre è dotato di aria condizionata e vetrine apribili all'interno.
Il prezzo di questa interessante offerta è di euro 15.000,00.

LEGGI TUTTO

CONDIVIDI SUI SOCIAL

DATI PRINCIPALI

Riferimento
642720
Contratto
Vendita
Tipologia
Immobile - Negozio
Superficie
15 mq
Locali
1
Bagni
1
Piano
Piano terra
Totale piani
1

CARATTERISTICHE

Ascensore

COSTI

Prezzo
€ 15.000,00

EFFICIENZA ENERGETICA

Stato
Abitabile
Anno costruzione
1950
Climatizzazione
Si
Classe energetica
G
IPE
175,00 kWh/m²a

A+

A

B

C

D

E

F

175,00 kWh/m²a | Classe energetica G

G

MAPPA