san lorenzo - Via del verano delizioso bilocale VENDITA

Via del Verano - Roma, Zona San Lorenzo
€ 155.000
  • Bilocale
  • 23 mq

Appartamento in Vendita a Roma

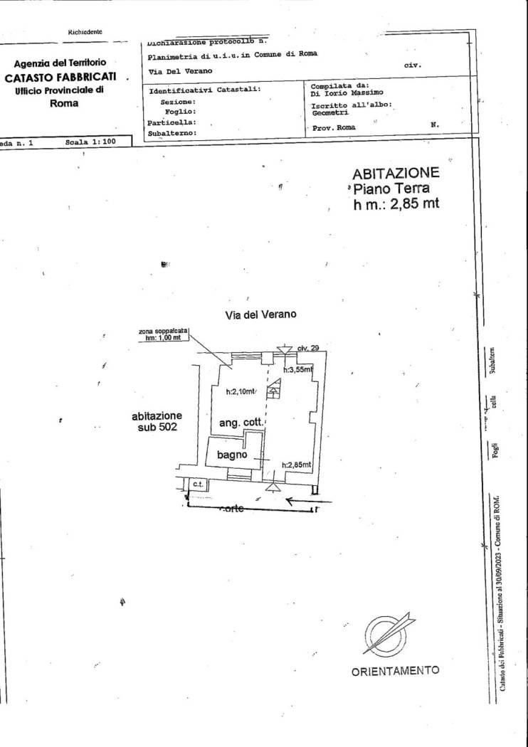
San Lorenzo - Via del Verano - L'agenzia GMG Immobiliare propone in vendita un delizioso monolocale di mq 23 circa sito al piano terra con piccola corte a livello. Composto da una piccolo soggiorno con angolo cottura e zona letto soppalcata , ed un bagno. L'immobile attualmente è locato ad uso transitorio con contratto di 12 mesi con scadenza al 06\10\2026 , rendita mensile di € 600,00 con cedolare secca.

CONDIVIDI SUI SOCIAL

DATI PRINCIPALI

Riferimento
639335
Contratto
Vendita
Tipologia
Appartamento
Superficie
23 mq
Locali
2
Camere da letto
1
Cucina
Angolo cottura
Piano
Piano terra
Totale piani
1

CARATTERISTICHE

Ascensore

COSTI

Prezzo
€ 155.000,00

EFFICIENZA ENERGETICA

Stato
Abitabile
Anno costruzione
1900
Riscaldamento
Autonomo
Climatizzazione
Si
Classe energetica
G
IPE
351,00 kWh/m²a

A+

A

B

C

D

E

F

351,00 kWh/m²a | Classe energetica G

G

MAPPA