PRENESTINA (VIA PISINO - VIA ALBONA) VENDITA

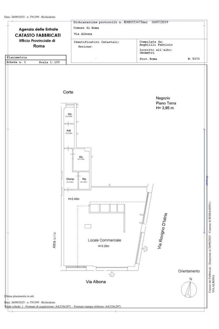
Via Albona 107 - Roma (Roma)
€ 69.000
  • 1 locale
  • 75 mq
  • 2 bagni

Negozio in Vendita a Roma

nel cuore del quartiere Villa Gordiani, servita da principali mezzi di trasporto come la FS "SERENISSIMA" e a due passi, principali linee autobus e le maggiori arterie stradali, si propone la VENDITA DI un LOCALE C/1, ATTUALMENTE ADIBITO A BAR di 75 mq c.a, in BUONE CONDIZIONI CON DUE VETRINE SU STRADA angolari. Il locale è composto da: UN GRANDE AMBIENTE, DUE SERVIZI E UN COMODO RIPOSTIGLIO. Attualmente è locato con regolare contratto di locazione 6+6, al canone mensile di € 800 scadenza il 22/07/2031. Zona strategica e di continuo passeggio, OTTIMO ACQUISTO PER USO INVESTIMENTO. DA VEDERE.

€ 69.000,00

COD. 2/39

LEGGI TUTTO

CONDIVIDI SUI SOCIAL

DATI PRINCIPALI

Riferimento
636705
Contratto
Vendita
Tipologia
Immobile - Negozio
Superficie
75 mq
Locali
1
Bagni
2
Piano
Piano terra
Totale piani
3

CARATTERISTICHE

Ascensore Allarme

COSTI

Prezzo
€ 69.000,00
Spese condominiali
€ 45,00 / mese

EFFICIENZA ENERGETICA

Stato
Abitabile
Anno costruzione
1970
Classe energetica
G
IPE
175,00 kWh/m²a

A+

A

B

C

D

E

F

175,00 kWh/m²a | Classe energetica G

G

MAPPA