AFFITTASI LOCALI COMMERCIALI AFFITTO

Via Barberini - Roma (Roma)
Trattativa Riservata
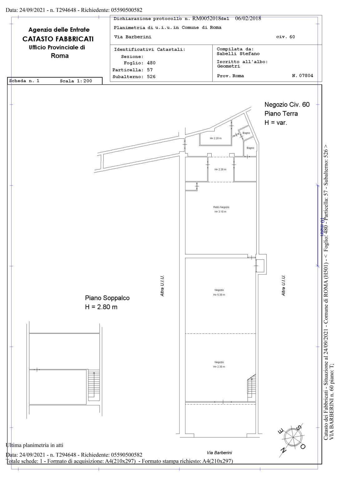
  • 1 locale
  • 450 mq
  • 3 bagni

Negozio in Affitto a Roma

Affittasi locali commerciali per complessivi 450 mq. compreso piano soppalcato con possibilità di canna fumaria e possibilità di abbinamento a negozio contiguo di ulteriori 450 mq.
CLASSE ENERGETICA G.
- Questa presentazione non è vincolante e non si propone di essere completa di ogni particolare:le foto potrebbero essere di repertorio e non rappresentare la realtà dell’immobile.-
*** PER ULTERIORI DISPONIBILITA' INVITIAMO LA NAVIGAZIONE SUL NOSTRO SITO CLICCANDO SUL LOGO PROMETEO A DESTRA . Prometeo Real Estate 324 7746482

CONDIVIDI SUI SOCIAL

DATI PRINCIPALI

Riferimento
633147
Contratto
Affitto
Tipologia
Immobile - Negozio
Superficie
450 mq
Locali
1
Bagni
3
Piano
Piano terra
Totale piani
6

CARATTERISTICHE

Ascensore

COSTI

Canone
Trattativa Riservata
Tipo locazione
4+4

EFFICIENZA ENERGETICA

Stato
Da ristrutturare
Riscaldamento
Autonomo
Climatizzazione
Si
Classe energetica
G
IPE
175,00 kWh/m²a

A+

A

B

C

D

E

F

175,00 kWh/m²a | Classe energetica G

G

MAPPA