PINETA SACCHETTI (VIA PROSPERO SANTACROCE) VENDITA

Via Prospero Santacroce 117 - Roma, Zona Boccea
€ 149.000
  • Monolocale
  • 50 mq
  • 1 bagno

Appartamento in Vendita a Roma

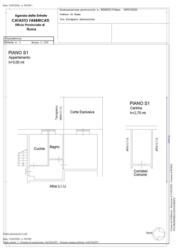
Tra la Via Pineta Sacchetti e Via Mattia Battistini, a breve distanza dalla fermata metro e più precisamente in Via Prospero Santacroce, angolo Via Martino V, proponiamo in un contesto tranquillo e riservato un appartamento di 50 mq c.a posto al piano seminterrato. L'immobile si presenta DA RISTRUTTURARE ed è composto da: UN AMPIO MONOLOCALE CON CUCINA ABITABILE E SERVIZIO. HA UN PICCOLO TERRAZZO DI 10 MQ C.A DI PROPRIETÀ. Le dimensioni dell'immobile consentono UN'AGILE TRASFORMAZIONE IN: SOGGIORNO CON ANGOLO COTTURA, CAMERA E SERVIZIO. ECCEZIONALE COME FONTE DI REDDITO.

€ 149.000,00

COD. 6/84

LEGGI TUTTO

CONDIVIDI SUI SOCIAL

DATI PRINCIPALI

Riferimento
636658
Contratto
Vendita
Tipologia
Appartamento
Superficie
50 mq
Locali
1
Camere da letto
1
Cucina
Abitabile
Bagni
1
Piano
Seminterrato
Totale piani
4

CARATTERISTICHE

Ascensore

COSTI

Prezzo
€ 149.000,00
Spese condominiali
€ 41,00 / mese

EFFICIENZA ENERGETICA

Stato
Da ristrutturare
Anno costruzione
1960
Riscaldamento
Autonomo
Climatizzazione
Si
Classe energetica
G
IPE
175,00 kWh/m²a

A+

A

B

C

D

E

F

175,00 kWh/m²a | Classe energetica G

G

MAPPA

ANNUNCI SIMILI