BILOCALE VIA DEI MONTI DI PIETRALATA VENDITA

Via dei Monti di Pietralata - Roma, Zona Pietralata
€ 229.000
  • Bilocale
  • 73 mq
  • 1 bagno

Appartamento in Vendita a Roma

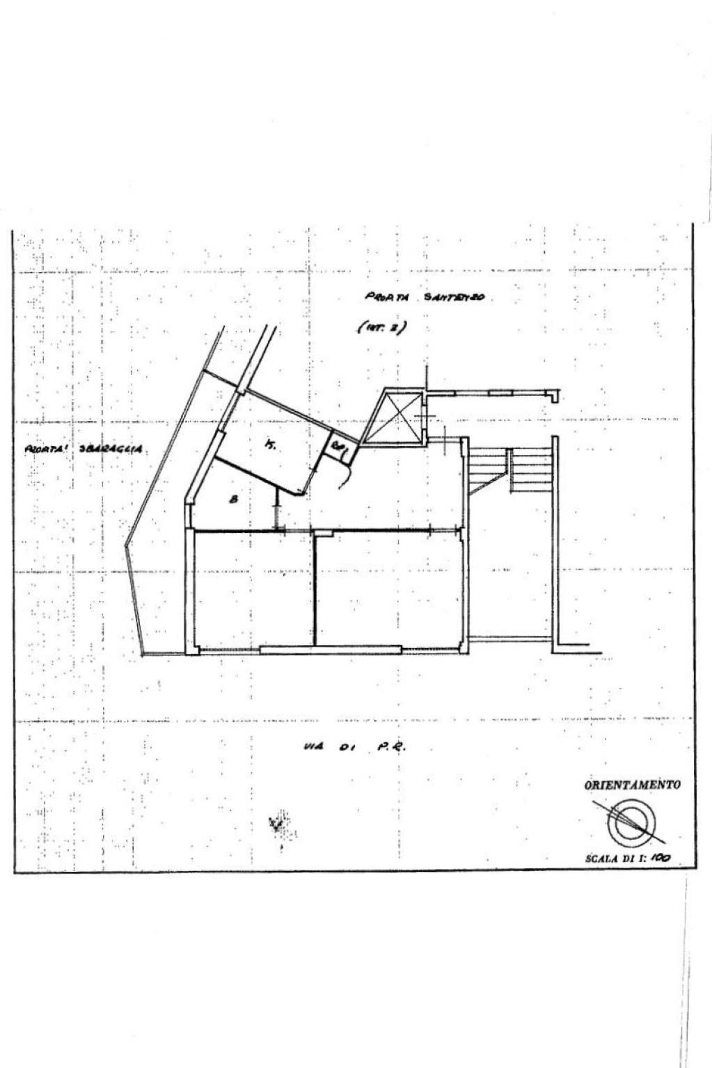
In Via dei Monti di Pietralata, proponiamo in vendita un appartamento al piano rialzato, composto da due camere da letto, un bagno, una cucina abitabile, un comodo ripostiglio, un balcone e una cantina di pertinenza.
L’immobile si trova in una zona residenziale tranquilla, ben servita da negozi, scuole, servizi di quartiere e ottimamente collegata con il resto della città. A pochi minuti si raggiunge la Stazione Tiburtina, uno snodo strategico per treni, metro B e numerose linee autobus, che rende questa soluzione particolarmente comoda per chi si sposta quotidianamente.
Grazie alla posizione e alla vicinanza con università, uffici e infrastrutture principali, l’appartamento è ideale anche per uso investimento. Gli spazi interni sono ben distribuiti e offrono ottime potenzialità.
Prezzo richiesto: 229.000 euro.
Per ulteriori informazioni o per fissare una visita, non esitare a contattarci. INVENTUM IMMOBILIARE - Via di San Romano 27 - 06.69366204 - I nostri consulenti sono a disposizione per valutazioni professionali gratuite del vostro immobile attraverso una individuazione reale del valore di mercato. Lavoriamo con una vasta banca dati di clienti e richieste, curiamo personalmente una campagna pubblicitaria accurata e mirata, i nostri immobili vengono condivisi attraverso una piattaforma mls con tutte le altre agenzie di Roma e Italia, offriamo gratuitamente assistenza e reperimento della documentazione dell’immobile, certificazione energetica a prezzi competitivi, possibilità di consulenza in sede con mediatore creditizio (mutui e prestiti), notaio, ingegnere, geometra ed architetto, per risolvere con efficacia qualsiasi esigenza.

LEGGI TUTTO

CONDIVIDI SUI SOCIAL

DATI PRINCIPALI

Riferimento
631153
Contratto
Vendita
Tipologia
Appartamento
Superficie
73 mq
Locali
2
Camere da letto
2
Cucina
Abitabile
Bagni
1
Piano
Piano rialzato
Totale piani
5

CARATTERISTICHE

Ascensore

COSTI

Prezzo
€ 229.000,00

EFFICIENZA ENERGETICA

Stato
Abitabile
Anno costruzione
1967
Riscaldamento
Autonomo
Classe energetica
G
IPE
175,00 kWh/m²a

A+

A

B

C

D

E

F

175,00 kWh/m²a | Classe energetica G

G

MAPPA

ANNUNCI SIMILI

VENDITA 20
€ 510.000
Appartamento in Vendita a Roma, Zona Bologna
  • Trilocale
  • 103 mq
  • 1 bagno