Anzio Santa Teresa - vicolo degli Etruschi 22 VENDITA

Vicolo degli Etruschi 22 - Anzio (Roma)
€ 120.000
  • Trilocale
  • 65 mq
  • 1 bagno

Appartamento in Vendita a Anzio

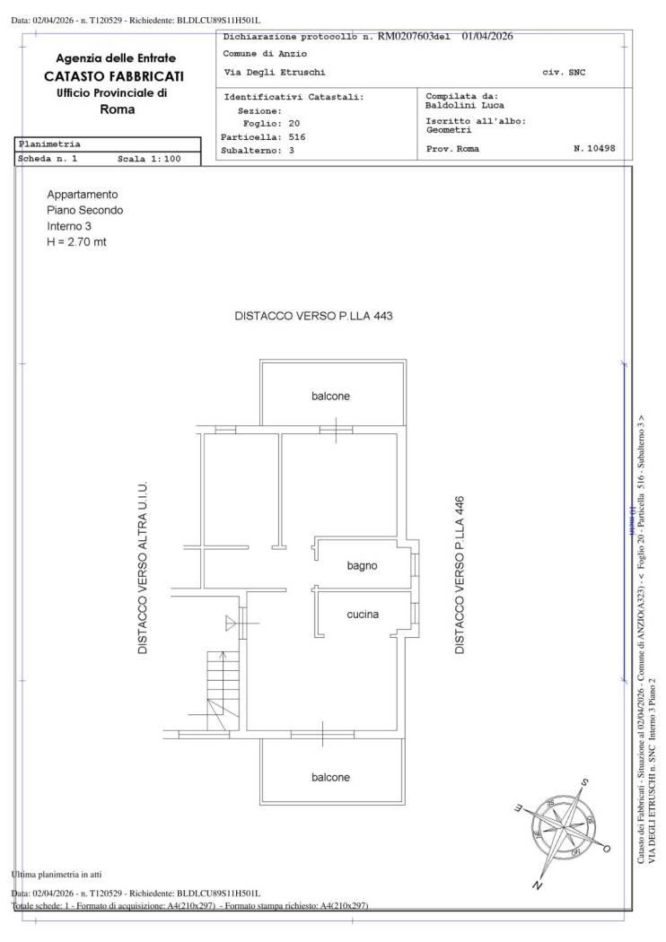
ANZIO - SANTA TERESA in zona residenziale immersa nel verde e ben servita proponiamo in vendita in Vicolo degli Etruschi n. 22 , grazioso appartamento trilocale situato al primo piano su rialzato, composto da: soggiorno con angolo cottura, camera matrimoniale, cameretta, bagno, due balconi e posto auto esterno di proprietà. L'appartamento è arioso e luminoso il rIscaldamento e il condizionamento è fornito dai climatizzatori.
Ottima soluzione sia come abitazione principale che come casa al mare o uso investimento, contesto riservato e tranquillo, il mare e la stazione ferroviaria distano circa 1 km, i servizi principali a pochi minuti. Prezzo richiesto Euro 120.000,00 APE "G" info e appuntamenti Agenzia FRIMM 06.9121913

LEGGI TUTTO

CONDIVIDI SUI SOCIAL

DATI PRINCIPALI

Riferimento
638948
Contratto
Vendita
Tipologia
Appartamento
Superficie
65 mq
Locali
3
Camere da letto
2
Cucina
Angolo cottura
Bagni
1
Piano
1 °
Totale piani
3
Box/Posto auto
Singolo

CARATTERISTICHE

Ascensore

COSTI

Prezzo
€ 120.000,00
Spese condominiali
€ 70,00 / mese

EFFICIENZA ENERGETICA

Stato
Abitabile
Anno costruzione
1980
Climatizzazione
Si
Classe energetica
G
IPE
175,00 kWh/m²a

A+

A

B

C

D

E

F

175,00 kWh/m²a | Classe energetica G

G

MAPPA

ANNUNCI SIMILI